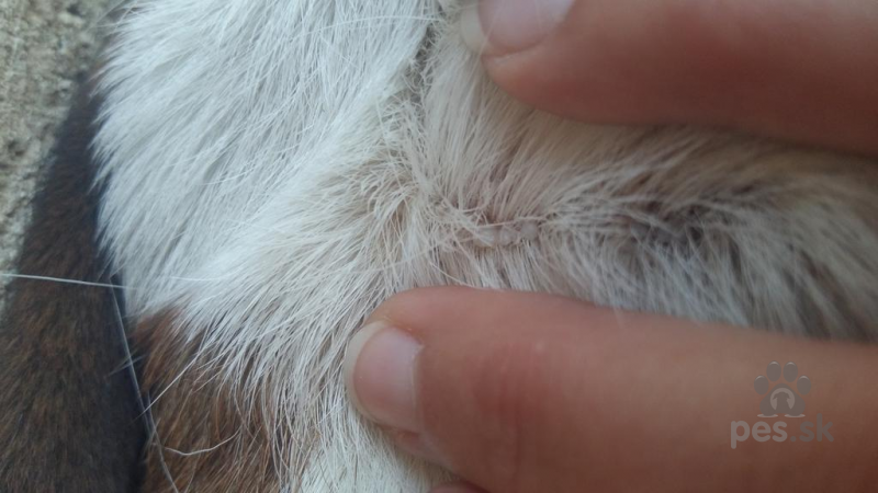
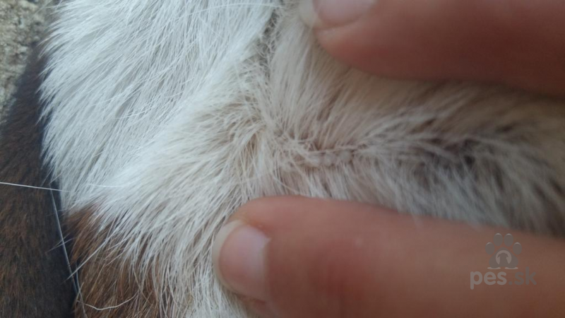
Dobrý deň, môjmu anglickemu buldogovi sa začali v oblasti krku a chvosta objavovať malé biele pupaky. Pes nemá žiadne príznaky vypadávania kože, svrbenia, začervenania. Pupaky sa rýchlo rozmnožujú, ale inak nič. Nijako sa nemenia, nerastu ani nemenia farbu. Myslela som že to budú bradavice ale u anglického buldoga to môže byť aj ina kozna choroba. Ďakujem za radu.Veterinár radí - bezplatné poradenstvo pre vášho psíka
Anglický buldog, ochorenie kože
Pridané dňa 15.11.2017
4866x videné
Dobrý deň, môjmu anglickemu buldogovi sa začali v oblasti krku a chvosta objavovať malé biele pupaky. Pes nemá žiadne príznaky vypadávania kože, svrbenia, začervenania. Pupaky sa rýchlo rozmnožujú, ale inak nič. Nijako sa nemenia, nerastu ani nemenia farbu. Myslela som že to budú bradavice ale u anglického buldoga to môže byť aj ina kozna choroba. Ďakujem za radu.Odpovede veterinárov
Naši veterinári pracujú na odpovedi, ktorá bude zverejnená čoskoro.
Mali ste podobný problém? Napíšte nám o ňom do komentára!
O autorovi
-
Najčítanejšie
rady -
Najnovšie
rady
-
Výrastky (útvary) na koži
09.06.2018 - 45597x videné -
Lysiny na srsti psa
25.05.2016 - 25649x videné -
Škvŕkanie v bruchu
05.04.2019 - 18273x videné -
Krívanie u psíka
15.07.2017 - 18042x videné -
Bolesť zadných nôh
07.02.2018 - 17718x videné -
Krv v moči
01.02.2017 - 14611x videné -
Triaška
20.04.2017 - 14362x videné -
Kožné ochorenie na labkách - čierne bodky, vypadáva srsť
09.10.2017 - 11945x videné -
Pruh ?
24.09.2017 - 10567x videné -
Chrasty a odpadávanie kože na uchu
12.11.2017 - 10434x videné
-
Zlyhávanie srdca
07.12.2025 - 30x videné -
Opuch u psika
05.10.2025 - 143x videné -
Alergia
23.09.2025 - 153x videné -
Kastrácia psa
23.09.2025 - 141x videné -
Kastrácia psa
19.09.2025 - 197x videné -
Osteosarkom u dobermana
14.09.2025 - 214x videné -
Hrčka u jazvečíka
03.09.2025 - 193x videné -
lekarnickov boj treba ísť prosím vás poradne my zuvali ten psík má vecu cenu môj život
21.08.2025 - 170x videné -
EIP
11.08.2025 - 192x videné -
Hrcka nad nosom
01.08.2025 - 259x videné